川越市下広谷 建築条件なし売地 東武東上線『鶴ヶ島駅』徒歩22分 【広谷小学区】
土地面積は393㎡(公簿)で一押しです!
この土地の価格は2,000万円です!
コチラの土地は売地となっており、
土地購入予定の方にオススメです!
不動産探しから購入、
そしてアフターフォローまで当社が親切丁寧にサポートいたします!
地元のことを知り尽くしている
スタッフの揃う当社へぜひお任せください!
ご連絡をお待ちしております(*^_^*)
ローンシミュレーションこの物件を購入した場合の、月々の支払い価格の一例です。借り入れを保証するものではございません。
- 返済期間
-
- 金利
-
- ボーナス時の増額(1回分)
-
- 借入金額:
-
- 頭金:
-

- 毎月の返済額:
(※元利均等方式 金利5.00%まで ※返済年数5~50年まで入力できます)
(※ボーナスは年2回で計算しています。1000万円まで入力できます)
(※物件購入時、その他諸費用が発生する場合がございます)
担当者のコメント 中村空

- 土地購入をお考えの方に好条件の売地が多数あります。
価格2,000万円の土地です。
土地面積は393㎡(公簿)となっております。
東武東上線鶴ヶ島周辺のことなら、
不動産情報も生活情報もアジア不動産にお任せください。
お問い合わせをお待ちしております。
ポイント・特徴
物件概要
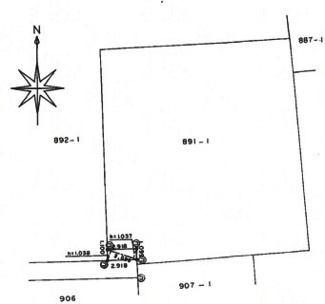
【売地】 物件番号:87576590 情報更新日:2026年01月17日 次回更新予定日:2026年01月31日| 所在地 | 埼玉県川越市大字下広谷891-1 | ||
|---|---|---|---|
| 交通 | |||
| 価格 | 2,000万円 | ||
| 土地の敷金/保証金 | -/- | 借地料/借地期間 | -/- |
| 土地面積(坪数) | 393.00㎡(118.88坪) | 坪単価 | 16.82万円 |
| 私道負担面積/セットバック | -/無 | 高圧線下面積 | - |
| 傾斜地部分面積 | - | 路地状敷地 | - |
| 土地権利 | 所有権 | 接道状況 | 一方(西 公道 1.8m) |
| 都市計画 | 市街化調整区域 | 用途地域 | 無指定 |
| 建築条件 | - | 地目/地勢 | 畑/- |
| 建ぺい率 | 60% | 容積率 | 200% |
| 総区画数 | - | 販売区画数 | - |
| 国土法届出要否 | 不要 | その他の法令上の制限 | - |
| 取引態様 | 仲介 | 現況 | - |
| 引渡時期 | 相談 | 引渡条件 | 更地渡 |
| 最適用途 | - | ||
| 物件番号 | 87576590 | 取引条件の有効期限 | 2026年01月31日 |
| 設備条件 |
|
||
| 備考 |
土地面積は393㎡(公簿)です。 こちらの売地はニーズも高い土地です。 この土地の価格は2,000万円です。 「不動産の知識がない」と不動産購入に関して 不安をお持ちではありませんか。 当社スタッフが親切丁寧に、 どのような些細な疑問・不安にもお答えいたします。 ぜひお気軽にお問い合わせください。 |
||
| 取扱会社 |
|
||
※地図上に表示される物件の位置は付近住所に所在することを表すものであり、実際の物件所在地とは異なる場合がございます。








































